我要看

您现在的位置 主题服务 > 资质认定 > 我要看

深圳市规划和自然资源局龙岗管理局关于福园小区17栋1单元加装电梯项目变更建设工程规划许可证及总平面图修改事宜的公示

信息来源:深圳市规划和自然资源局 信息提供日期:2023-09-22 09:00 【字体: 视力保护色:

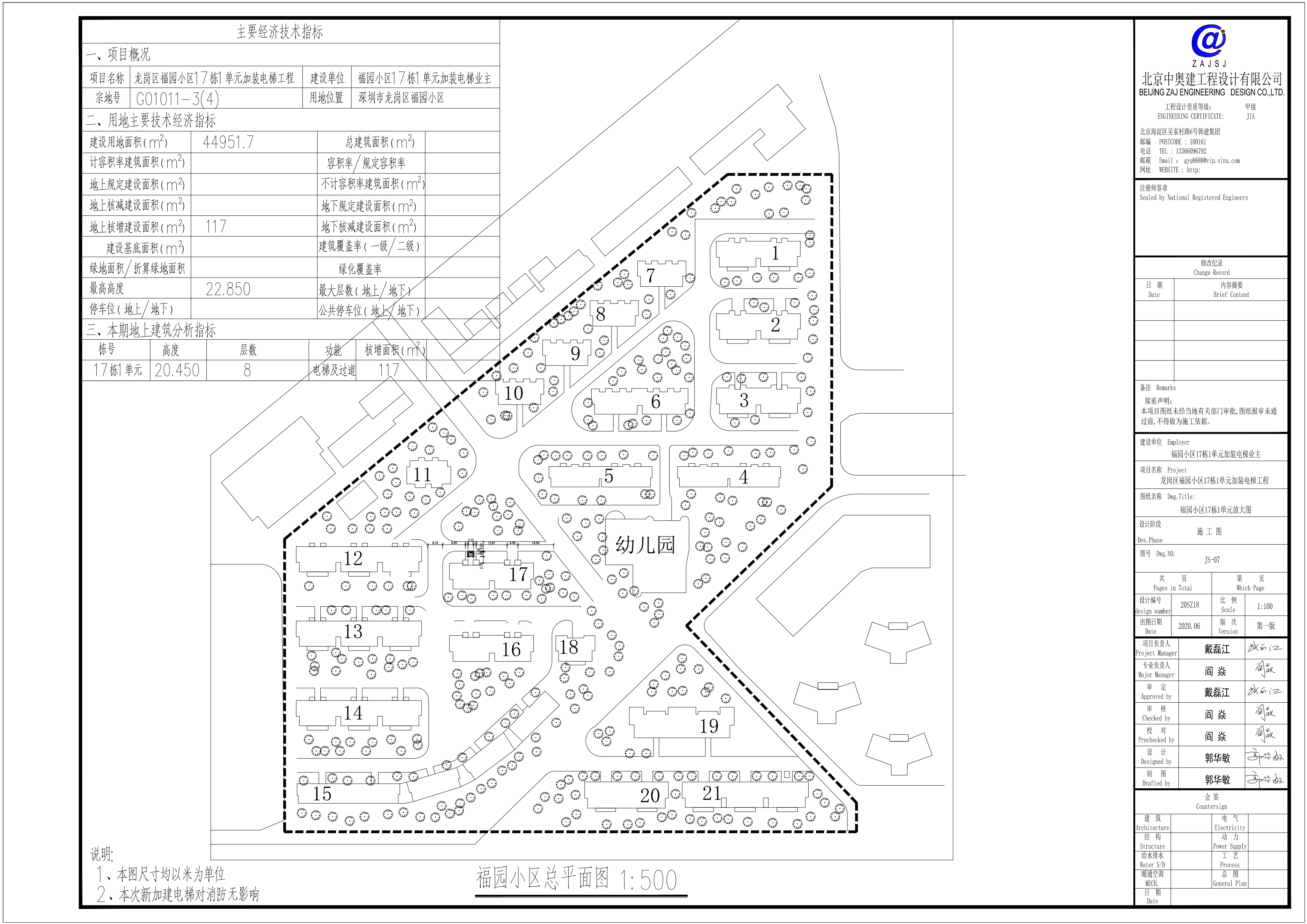
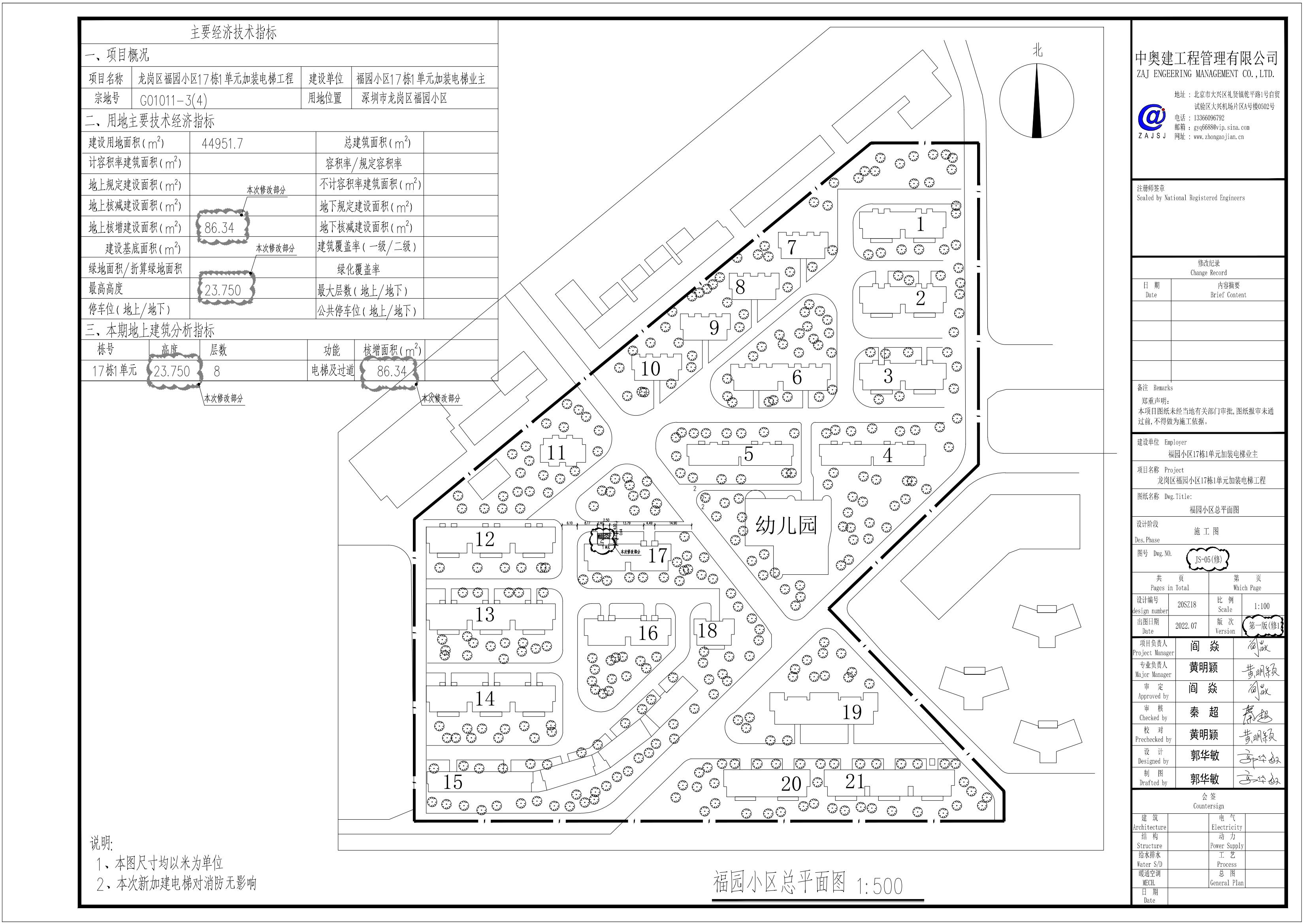
  福园小区17栋1单元业主申请福园小区17栋1单元加装电梯项目施工图纸修改。福园小区17栋1单元加装电梯项目位于龙城街道【宗地号:G01011-3(4)号】,于2020年7月21日取得《建设工程规划许可证》(深规划资源建许LG-2020-0053号)。本次涉及总平面修改,主要内容为(详情如附图云线所示):

  1.首层坡道位置调整,去掉一侧雨蓬;

  2.梯井尺寸调整为2.5×2.25米,位置内移0.81米,连廊长度相应缩短0.81米,连廊宽度缩短0.24米;

  3.变更深规划资源建许LG-2020-0053号《建设工程规划许可证》备注中相关指标,加装电梯总建筑面积由94.73平方米调整为86.34平方米。

  本次修改内容满足《深圳市既有住宅加装电梯管理规定》的要求,并取得本单元所有业主的同意。

  现根据《中华人民共和国城乡规划法》相关规定予以公示,公示期为10个工作日(2023年9月22日至2023年10月11日)。本公示自发布之日起在项目现场(地址:龙岗区龙城街道福园小区17栋1单元)、深圳市规划和自然资源局门户网站(http://pnr.sz.gov.cn)及深圳市规划和自然资源局龙岗管理局一楼大厅和网站(地址:龙岗区中心城行政路2号,网址:http://pnr.sz.gov.cn/lg)同时公示。公示期间,如对该项目上述变更内容有异议,请使用真实姓名及有效联系方式通过书面形式与深圳市规划和自然资源局龙岗管理局联系,公示期满无异议,将按规定办理相关手续。

  特此公示。

  附件:1.修改前总平面图

  2.修改后总平面图

深圳市规划和自然资源局龙岗管理局

2023年9月22日

  (联系人:戴工,电话:0755-28916910,传真:0755-28910030)

触碰右侧展开