重大政策决策

您现在的位置 首页 > 五公开专栏 > 决策公开 > 决策预公开 > 重大政策决策

深圳市规划和自然资源局龙岗管理局关于福园小区21栋2单元加装电梯项目变更建设工程规划许可证及总平面图修改事宜公示

信息来源:深圳市规划和自然资源局 信息提供日期:2023-08-17 09:00 【字体: 视力保护色:

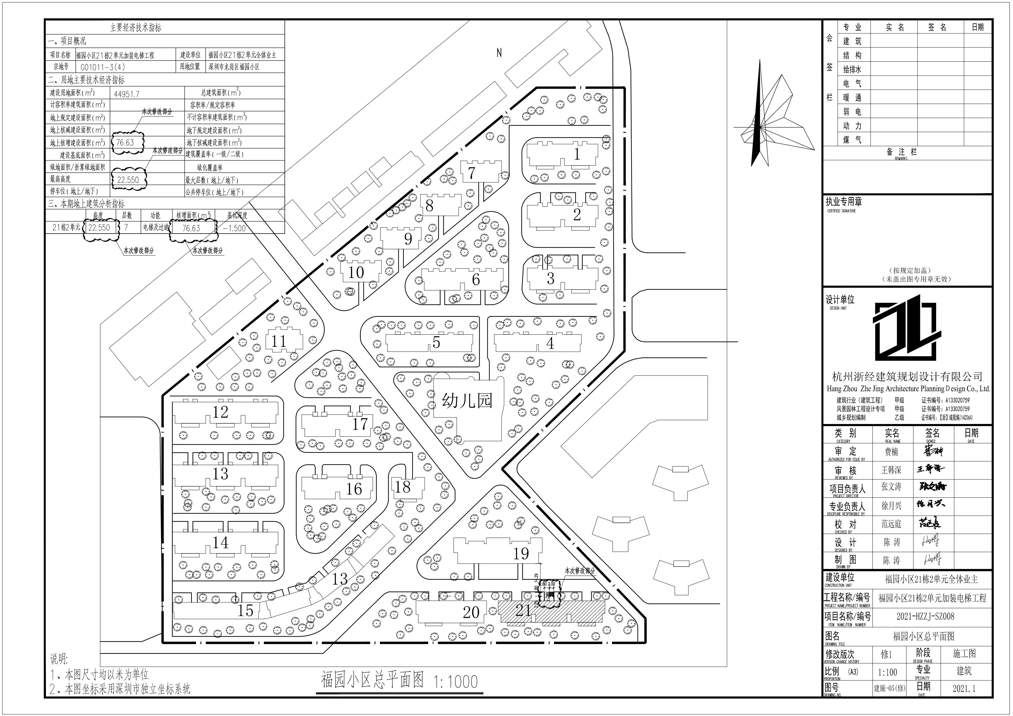
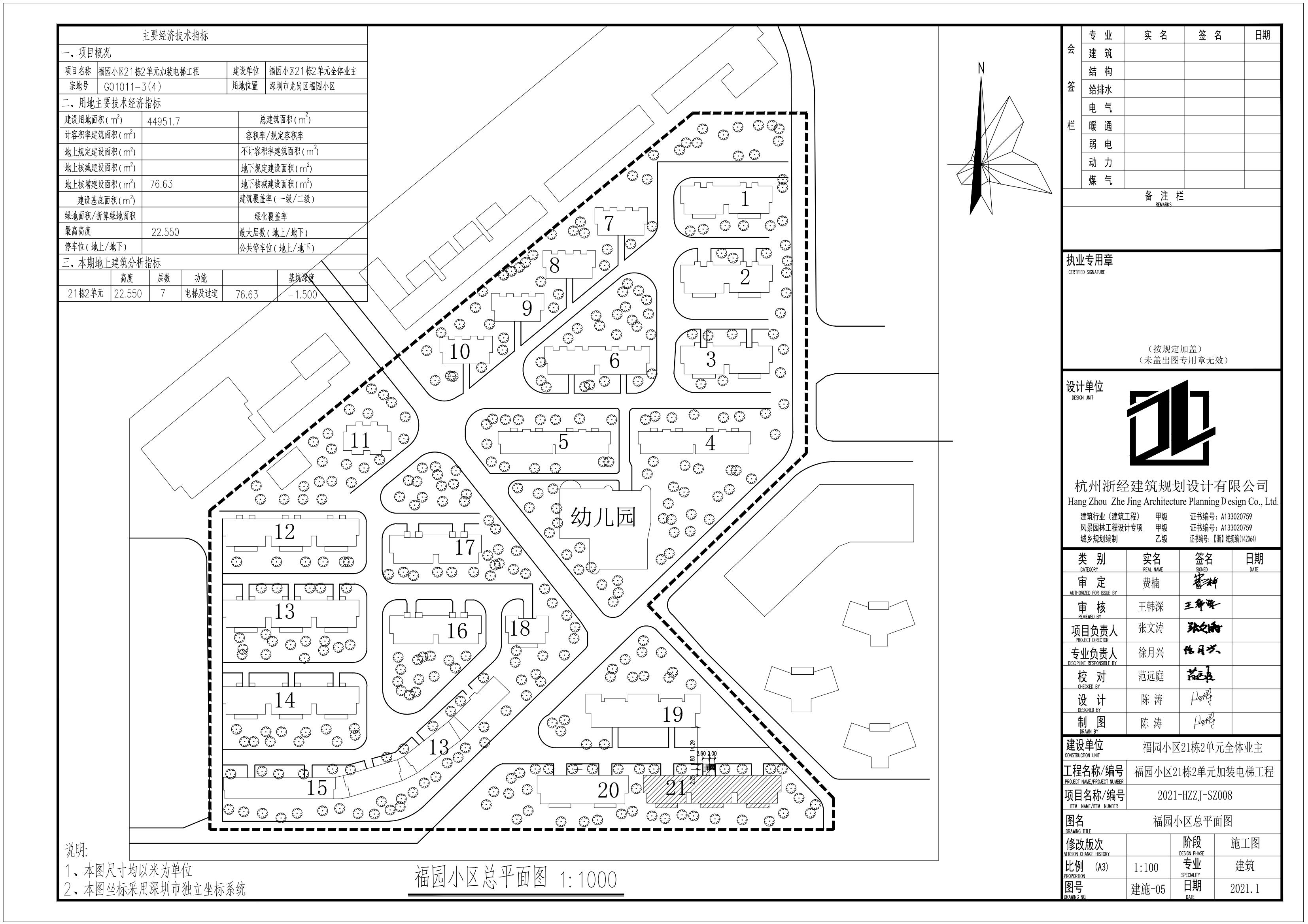
  福园小区21栋2单元业主申请福园小区21栋2单元加装电梯项目施工图纸修改。福园小区21栋2单元加装电梯项目位于龙城街道【宗地号:G01011-3(4)号】,于2021年3月24日取得《建设工程规划许可证》(深规划资源建许LG-2021-0031号)。本次涉及总平面修改,主要内容为(详情如附图云线所示):

  1.首层西侧雨棚调整,增加坡道;取消东侧雨棚;

  2.变更深规划资源建许LG-2021-0031号《建设工程规划许可证》备注中相关指标(具体指标详见总平图主要技术经济指标表)。

  本次修改内容满足《深圳市既有住宅加装电梯管理规定》的要求,并取得本单元所有业主的同意。

  现根据《中华人民共和国城乡规划法》相关规定予以公示,公示期为10个工作日(2023年8月17日至2023年8月30日)。本公示自发布之日起在项目现场(地址:龙岗区龙城街道福园小区21栋2单元)、深圳市规划和自然资源局门户网站(http://pnr.sz.gov.cn)及深圳市规划和自然资源局龙岗管理局一楼大厅和网站(地址:龙岗区中心城行政路2号,网址:http://pnr.sz.gov.cn/lg)同时公示。公示期间,如对该项目上述变更内容有异议,请使用真实姓名及有效联系方式通过书面形式与深圳市规划和自然资源局龙岗管理局联系,公示期满无异议,将按规定办理相关手续。

  特此公示。

  附件:1.修改前总平面图

  2.修改后总平面图

深圳市规划和自然资源局龙岗管理局

2023年8月17日

  (联系人:戴工,电话:0755-28916910,传真:0755-28910030)

触碰右侧展开